family CERAMBYCIDAE Latreille, 1802
subfamily CERAMBYCINAE Latreille, 1802
tribe Molorchini Gistel, 1848
genus Molorchus Fabricius, 1793
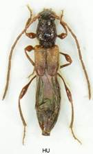
Molorchus minor minor (Linnaeus, 1758)
subgenus Caenoptera C. G. Thomson, 1859







Velikost 6-16 mm.
Bionomie. Vývoj pod kůrou odumírajících a pokácených jehličnatých dřevin slabších dimenzí, většinou 3-12 cm, méně často silnějších. Před zakuklením si larva vyhlodá kukelní komůrku v hloubce 1-4 cm, u slabých průměrů často přímo v jádru. Imaga bývají hotová již na podzim a přezimují ve dřevě. Často přezimují i jako larvy. Generace jednoletá, ale udává se i dvouletá. - Imaga se vyskytují v přírodě od V. do VII., na horách i v VIII. Na větvích, rovnaném dříví a velmi často na různých květech. Druh, který je nejčastěji s palivem zavlékán do domácností.
Živné rostliny - Picea, Abies, udává se i Pinus a Larix.
Variabilita. Tělo a nohy obvykle černé, vzácně mohou být žlutohnědé (i u vybarvených kusů).
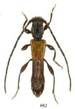
Molorchus kiesenwetteri kiesenwetteri Mulsant & Rey, 1861
subgenus Molorchus Fabricius, 1793




Imaga umístěná v druhé řadě - je to také Molorchus kiesenwetteri kiesenwetteri Mulsant & Rey, 1861. Imaga mají např. kratší krovky. Imaga v prvé i druhé řadě jsou vesměs určována jako M. kiesenwetteri, je to stejný druh?
Velikost 4-7 mm.
Bionomie. Druh zahrad a člověkem zemědělsky obhospodařovaných oblastí. Vývoj ve slabých, čerstvě odumírajících větévkách listnatých dřevin o průměru do 1 cm. Vychoval jsem ho jak z odumřelých větví odebraných z dospělých živých stromů, tak z větví stromů pokácených. Vývoj jednoletý. - Imaga V.-VI. na větvích, není mi znám nález na květech. Býval nalézán nejčastěji na proutěných plotech z čerstvých spletených větví listnatých dřevin.
Živné rostliny - Persica, Cydonia oblonga, Morus; Amygdalus, Rosa, Prunus, Malus, Crataegus.
Molorchus schmidti Ganglbauer, 1883
subgenus Molorchus Fabricius, 1793


Velikost 5-8 mm.
Velmi vzácný a lokální druh. Vývoj larev v odumřelých slabých vrbových (Salix) větvičkách. Imaga se objevují v V-VI.
Molorchus sp. ???
subgenus Molorchus Fabricius, 1793

Imago uložené ve sbírkácu Národního muzea v Praze s lokalitou - Prag, Waldst. Gasse, 26.7. (rok ????), coll. NM Praha.
Tento kus je nejblíže k Molorchus schmidti Ganglbauer, 1883. Ten má ale jiné zbarvení, má dlouhé chloupkování nohou, je štíhlejší atd.
Molorchus sp. ?
subgenus Molorchus Fabricius, 1793

Bulg. 16.8.1970, Slačev Brjag, lgt. Kocourek, cool. NM Praha
Vyobrazené kusy mají blízko k M. hircus (Abeille de Perin, 1881), nebo možná spíše k M. anatolicus Adlabuer, 1988, který je uváděn jako synonymum. M. hircus a má být subspecií od M. kiesenwetteri. Ten má však zcela jiné krovky, takže jeho subspecií téměř jistě není (vyobrazeni krovek viz Sama 1995 – Molorchini II.). Z Bulharska není žádný uváděn.
Molorchus marmottani Brisout de Barneville, 1863
subgenus Molorchus Fabricius, 1793
Molorchus marmottani marmottani Brisout de Barneville, 1863

Molorchus marmottani andalusicus (Sláma, 2015)
subgenus Molorchus Fabricius, 1793

Foto Jeniš
Velikost 5-8 mm.
Bionomie. Vývoj ve slabších větvičkách. Doba vývoje v dovezené větvičce ze Španělska tříletá (Sláma). Vávra ho vychoval z osluněných tenkých větviček, vývoj udává 1 až 2letý. - Imaga se vyskytují ve Francii V. - VII. Dají se sklepat ze suchých i živých větví (Francie). V literatuře bývá uváděn výskyt na květech, ale není mi znám ani jeden nález.
Živné rostliny - Různé druhy Pinus, Pinus salzmanni.
Molorchus umbellatarus (Schreber, 1759)
subgenus Molorchus Fabricius, 1793

Velikost 5-8,5 mm.
Bionomie. Vývoj nejdříve pod kůrou a později ve dřevě slabých větviček uhynulých různých listnatých keřů. Při silnějším napadení již i mladší larvy požírají dřevo. Kuklí se ve dřevě. Podle Demelta nepřezimují brouci, ale larvy nebo kukly, většinou se kuklí na jaře, generace dvouletá. Podle Čerepanova (1981) přezimují larvy v kukelních komůrkách a generaci udává rovněž dvouletou. - Imaga se vyskytují od V. do VII., maximum konec V.-VI. na živných dřevinách a různých květech.
Živné rostliny - Cornus, Euonymus, Prunus, Rosa, Sorbus, Cydonia; Viburnum, Malus, Rubus; Amelanchier ovalis, Castanea, Malus.
Molorchus minor minor Linnaeus, 1758 CZ Picea







Molorchus kiesenwetteri kiesenwetteri Mulsant & Rey, 1861

